Sabias Que Cultural
Huracán Beryl: plataformas para seguir su trayectoria en tiempo real

Publicación:03-07-2024
TEMA: #Cultura
Si quieres tener información de primera mano sobre el huracán "Beryl", The Weather Channel es la opción.
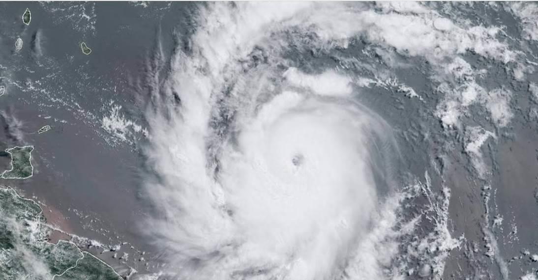
CIUDAD DE MÉXICO.- La temporada de huracanes llegó tal y como el Servicio Meteorológico Nacional había previsto hace semanas. Y el primer huracán de la temporada fue "Beryl", el cual alcanzó categoría 5 ayer por la noche.
De acuerdo con SkyAlert Storm, este huracán llegó con vientos sostenidos e 257 km/h al sureste del Caribe. Se pronostica que mañana, miércoles, impacte Jamaica como Categoría 4 y para la tarde del jueves impacte a Yucatán, Quintana Roo y Campeche como Categoría 1 o Tormenta Tropical.
La intensidad con la que llega este huracán ha alertado a dependencias y a la población en general, quienes deberán tomar precauciones ante cualquier cambio que pueda tener este fenómeno natural.
Por esta razón, es importante mantenerse informado sobre la situación en la que se encuentra el huracán "Beryl". En Tech Bit de EL UNIVERSAL te decimos cómo seguir la trayectoria en tiempo real de este huracán.
3 plataformas para seguir en tiempo real al huracán "Beryl"
Google Maps
Google Maps cuenta con una herramienta de geolocalización que permite seguir en tiempo real la trayectoria del huracán "Beryl". Esta herramienta se actualiza con frecuencia y permite a los usuarios monitorear la ubicación exacta de "Beryl".
Además, proporciona información importante sobre este fenómeno natural como noticias, comunicados y alertas emitidas por el Centro Nacional de Huracanes del Servicio Meteorológico Nacional.
NASA
La Estación Espacial Internacional en las últimas horas ha capturado imágenes de cómo se ve el huracán "Beryl" desde el espacio.
A través de su canal de YouTube en donde transmiten en vivo las 24 horas los 7 días de la semana puedes ver la trayectoria del huracán, así como imágenes exclusivas de cómo avanza o se intensifica el huracán.
Además, en la cuenta de X de la NASA se publican actualizaciones importantes sobre este fenómeno natural.
The Weather Channel
Si quieres tener información de primera mano sobre el huracán "Beryl", The Weather Channel es la opción. En este sitio encontrarás información sobre la trayectoria del huracán así como sorprendentes imágenes y videos captados sobre este fenómeno.
También, en su cuenta oficial de X suelen compartir actualizaciones sobre el huracán "Beryl" y otros fenómenos naturales.
Cuentas oficiales que informan el avance del huracán "Beryl"
También es importante que la población se mantenga al tanto de la trayectoria del huracán "Beryl" a través de las cuentas de dependencias oficiales quienes constantemente actualizan la información sobre este fenómeno.
Dos de ellas son la Coordinación Nacional de Protección Civil y Conagua Clima de la Comisión Nacional del Agua. En estas, además de tener información relevante sobre el avance del huracán "Beryl", también brinda recomendaciones y alertas de lo cómo puede protegerse la población ante este fenómeno natural.
De acuerdo con SkyAlert Storm, este huracán llegó con vientos sostenidos e 257 km/h al sureste del Caribe. Se pronostica que mañana, miércoles, impacte Jamaica como Categoría 4 y para la tarde del jueves impacte a Yucatán, Quintana Roo y Campeche como Categoría 1 o Tormenta Tropical.
La intensidad con la que llega este huracán ha alertado a dependencias y a la población en general, quienes deberán tomar precauciones ante cualquier cambio que pueda tener este fenómeno natural.
Por esta razón, es importante mantenerse informado sobre la situación en la que se encuentra el huracán "Beryl". En Tech Bit de EL UNIVERSAL te decimos cómo seguir la trayectoria en tiempo real de este huracán.
3 plataformas para seguir en tiempo real al huracán "Beryl"
Google Maps
Google Maps cuenta con una herramienta de geolocalización que permite seguir en tiempo real la trayectoria del huracán "Beryl". Esta herramienta se actualiza con frecuencia y permite a los usuarios monitorear la ubicación exacta de "Beryl".
Además, proporciona información importante sobre este fenómeno natural como noticias, comunicados y alertas emitidas por el Centro Nacional de Huracanes del Servicio Meteorológico Nacional.
NASA
La Estación Espacial Internacional en las últimas horas ha capturado imágenes de cómo se ve el huracán "Beryl" desde el espacio.
A través de su canal de YouTube en donde transmiten en vivo las 24 horas los 7 días de la semana puedes ver la trayectoria del huracán, así como imágenes exclusivas de cómo avanza o se intensifica el huracán.
Además, en la cuenta de X de la NASA se publican actualizaciones importantes sobre este fenómeno natural.
The Weather Channel
Si quieres tener información de primera mano sobre el huracán "Beryl", The Weather Channel es la opción. En este sitio encontrarás información sobre la trayectoria del huracán así como sorprendentes imágenes y videos captados sobre este fenómeno.
También, en su cuenta oficial de X suelen compartir actualizaciones sobre el huracán "Beryl" y otros fenómenos naturales.
Cuentas oficiales que informan el avance del huracán "Beryl"
También es importante que la población se mantenga al tanto de la trayectoria del huracán "Beryl" a través de las cuentas de dependencias oficiales quienes constantemente actualizan la información sobre este fenómeno.
Dos de ellas son la Coordinación Nacional de Protección Civil y Conagua Clima de la Comisión Nacional del Agua. En estas, además de tener información relevante sobre el avance del huracán "Beryl", también brinda recomendaciones y alertas de lo cómo puede protegerse la población ante este fenómeno natural.
« El Universal »
Te podria interesar
Otras Noticias








