Nacional Estados
Tormenta Dolores se encuentra cercana a costas de Michoacán

Publicación:19-06-2021
TEMA: #Tormentas
"El centro de la tormenta tropical "Dolores" se mantiene al sur de las costas de Michoacán", indicó el SMN en un comunicado.
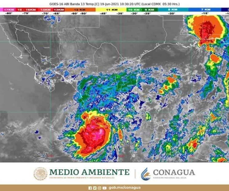
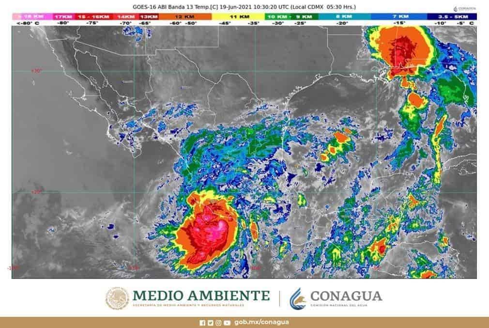
CIUDAD DE MÉXICO.- La tormenta tropical "Dolores", que se formó este viernes en aguas del Pacífico mexicano, se encuentra "muy cercana" a costas mexicanas, por lo que provocará lluvias de fuertes a extraordinarias y vientos fuertes en el oeste y sur del país, informó el Servicio Meteorológico Nacional (SMN).
"El centro de la tormenta tropical "Dolores" se mantiene al sur de las costas de Michoacán", indicó el SMN en un comunicado.
Las bandas nubosas de este sistema "producen lluvias de muy fuertes a extraordinarias, vientos fuertes y oleaje de 2 a 4 metros de altura significante" en entidades del oeste y sur del territorio.
En su último reporte, a las 19:15 horas (00:15 GMT del sábado), el Meteorológico mexicano señaló que el ciclón se situaba a 235 kilómetros (km) al sur-suroeste de Lázaro Cárdenas, Michoacán, y a 395 km al sur-sureste de Manzanillo, Colima.
La tormenta tropical "Dolores" se mueve hacia el noroeste a 11 kilómetros por hora y registra vientos sostenidos de 75 kilómetros por hora y rachas de 95 kilómetros por hora.
"Estas lluvias podrían generar aumento en los niveles de ríos y arroyos, desbordamientos, deslaves e inundaciones en zonas bajas de terreno", indicó el organismo.
Según el pronóstico, el sábado la tormenta tropical no ganará fuerza y se mantendrá con ese estatus, y el domingo se debilitará a a baja presión remanente, aunque la trayectoria indica que avanzará paulatinamente hacia el norte y tocará tierra la tarde del sábado por el estado de Jalisco.
Debido a ello, el SMN, en coordinación con el Centro Nacional de Huracanes, mantiene zona de vigilancia por vientos de tormenta tropical desde Lázaro Cárdenas, Michoacán, hasta Escuinapa, Sinaloa.
"El centro de la tormenta tropical "Dolores" se mantiene al sur de las costas de Michoacán", indicó el SMN en un comunicado.
Las bandas nubosas de este sistema "producen lluvias de muy fuertes a extraordinarias, vientos fuertes y oleaje de 2 a 4 metros de altura significante" en entidades del oeste y sur del territorio.
En su último reporte, a las 19:15 horas (00:15 GMT del sábado), el Meteorológico mexicano señaló que el ciclón se situaba a 235 kilómetros (km) al sur-suroeste de Lázaro Cárdenas, Michoacán, y a 395 km al sur-sureste de Manzanillo, Colima.
La tormenta tropical "Dolores" se mueve hacia el noroeste a 11 kilómetros por hora y registra vientos sostenidos de 75 kilómetros por hora y rachas de 95 kilómetros por hora.
"Estas lluvias podrían generar aumento en los niveles de ríos y arroyos, desbordamientos, deslaves e inundaciones en zonas bajas de terreno", indicó el organismo.
Según el pronóstico, el sábado la tormenta tropical no ganará fuerza y se mantendrá con ese estatus, y el domingo se debilitará a a baja presión remanente, aunque la trayectoria indica que avanzará paulatinamente hacia el norte y tocará tierra la tarde del sábado por el estado de Jalisco.
Debido a ello, el SMN, en coordinación con el Centro Nacional de Huracanes, mantiene zona de vigilancia por vientos de tormenta tropical desde Lázaro Cárdenas, Michoacán, hasta Escuinapa, Sinaloa.
« El Universal »
Te podria interesar
Otras Noticias




